Welchen Namen gibt man einer Strecke ohne Namen? Nebenbahn Spindlersfeld? Görlitzer Bahn? Zweigbahn Schöneweide - Spindlersfeld? Letzterer kommt der Streckenführung eigentlich am nächsten - also entscheiden wir uns für diesen.
Eröffnet wurde die Strecke am 15. November 1891. Ausgehend von der Görlitzer Bahn, genauer vom damaligen Bahnhof Niederschöneweide-Johannisthal (heute Schöneweide), verlief sie eingleisig zwischen der großen Abstellanlage und den beiden Gleisen [1] der Görlitzer Bahn, überquerte niveaugleich die Straße Adlergestell und erreichte nach ungefähr vier Kilometern den Bahnhof Spindlersfeld. Der Name Spindlersfeld geht auf eine Danksagung der damaligen Stadt Cöpenick [2] an die Brüder Karl und Wilhelm Spindler zurück. Diese errichteten 1873 die erste Großwäscherei, die "Anstalt zur chemischen Reinigung, Wäscherei und Färberei". Der nun hinzugekommene Bahnanschluß soll auch auf eine Initiative der beiden Brüder zurückzuführen sein.

Bahnsteigansicht von Oberspree aus dem Jahre 1983.
Am 1. April 1892 fuhren die ersten Personenzüge auf der noch nicht einmal ein halbes Jahr alten Eisenbahnstrecke. Am gleichen Tag gingen auch die beiden Bahnhöfe Spindlersfeld und Oberspree in Betrieb.
Vom 15. August 1903 an erfolgten zwischen den Planzügen erste Versuchsfahrten im elektrischen Betrieb. 6000 Volt/25 Hertz waren zu testen, die Stromzuführung erfolgte über eine Oberleitung. Am 1. März 1906 wurde der Versuchsbetrieb wieder eingestellt - auch wegen der nun folgenden Höherlegung der Görlitzer Bahn. Von 1902 bis 1906 legte man den Bahnhof Niederschöneweide - Johannisthal auf einem Bahndamm. Gleichzeitig erhöhte sich dabei auch die Streckenausfädelung nach Spindlersfeld. Die Gleise überquerten nun auf einer steinernen Gewölbebrücke die Straße Adlergestell, die damals noch nicht die Ausmaße hatte, so wie wir sie heute kennen. Danach senkte man den Bahndamm wieder, um die heutige Oberspreestraße und den Bahnhof Oberspree ebenerdig zu erreichen.
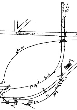
Aufgrund der zu bedienenden Gütergleise in Spindlersfeld, hier befand sich neben dem Zuführungsgleis für die Wäscherei der Brüder Spindler auch eine Müllumladestation der Berliner Stadtreinigung, verkehrten bis in die 1990er Jahre hinein S-Bahn- und Güterzüge in einem Gemeinschaftsbetrieb. In Oberspree bestand von Anfang an bis 1976 dazu eine Kreuzungsmöglichkeit mittels eines zweiten Gleises. In Richtung Schöneweide erfolgte die Trennung des Güter- vom Personenverkehr nach Überquerung der Adlergestellbrücke - die Weiche lag ungefähr in Höhe des Wasserturmes. Von dort ging das Gütergleis über eine weitere Brücke, die die Görlitzer Bahn überquerte, südwestlich des Stellwerkes "Sw" weiter und fädelte sich dort in das Gleisvorfeld ein. Die östlichen Brückenfundamente sind heute noch gut sichtbar. Das Bild rechts zeigt zur besseren Anschauung der Ausfädelung einen Ausschnitt aus einem Gleisplan der DR aus dem Jahre 1964. Eine neue Weiche wurde am 15. Oktober 1927 in Betrieb genommen: Sie führte ein Gleis zum neuentstandenen Reichsbahnausbesserungswerk Schöneweide. Durch die Einwirkungen des Zweiten Weltkrieges ruhte der Verkehr auf der Strecke nur ein Vierteljahr lang- dann fuhr die S-Bahn wieder, wenn auch vorerst nur sporadisch. 15. Dezember 1945: das wahrscheinlich erste Eisenbahnunglück in Berlin nach dem Krieg ereignet sich zwischen den Bahnhöfen Schöneweide und Oberspree. Gegen 7.20 Uhr stoßen eine S-Bahn von Schöneweide sowie ein Nahgüterzug von Spindlersfeld kommend direkt auf der Brücke über dem Adlergestell zusammen. |
|
Zwischen 1956 und 1957 erhielt die Straße Adlergestell die zweite Richtungsfahrbahn - dabei ersetzte man die alte Gewölbebrücke der S-Bahn durch einen stählernen Neubau. Viel änderte sich nicht mehr. Aus der Wäscherei wurde der VEB Rewatex (ehemals VEB Blütenweiß), aus der Berliner Stadtreinigung der VEB Müllabfuhr und anstatt der Dampfloks vor den Übergabezügen wurden in der Regel Lokomotiven der BR 106 (heute BR 346) vorgespannt. Vom 1. Februar 1976 bis zum 31. Mai 1986 verkehrte auf der Zweigbahn Schöneweide - Spindlersfeld der Mini Otto.

Güterbahnsteig und -schuppen: beides stumme Zeugen über die einstige Bedeutung des Bahnhofes Spindlersfeld (23. Mai 2006).
Im Jahre 1983 riss die DR die südliche der beiden Ladestraßen ab und legte stattdessen vier neue Gütergleise an. Am 18. Dezember 1988 wurde die Signaltechnik des Bahnhofes Spindlersfeld von Form- auf Lichtsignale umgestellt. Dazu wurde in den Räumen der örtlichen Aufsicht Spindlersfeld ein elektro-mechanisches Stellwerk in Betrieb genommen. Im Bahnhof selber gingen die Stellwerke Spf und Swt außer Betrieb. Letzteres bediente den Bahnübergang Bruno-Bürgel-Weg, hierfür ging nun eine neue signalabhängige Halbschrankenanlage in Betrieb.
Im November 2010 wurde die erst im Dezember 1988 im Bahnhof Spindlersfeld eingebaute Hl-Sicherungstechnik entfernt und durch einen in Schöneweide eingerichteten Stichstreckenblock ersetzt. Das sich seitdem im Dienstraum der Aufsicht befindliche Stellwerk Spf ging am 12. November um 22.00 Uhr außer Betrieb. Während des nachfolgenden Wochenendes wurden die notwendigen Umbaumaßnahmen im Rahmen einer Vollsperrung durchgeführt. Seit Betriebsbeginn am 15. November 2010 ist Spindlersfeld bahnbetrieblich nur noch ein Haltepunkt. Dadurch entfielen insgesamt 5 Arbeitsplätze der in Spindlersfeld tätigen Fahrdienstleiter sowie der durch sie durchgeführte Fahrkartenverkauf. Letzterer kann aber durch die vor Ort ansässige DB Agentur weiterhin erfolgen.
Wie arbeitet ein Stichstreckenblock?
Fährt nun ein Zug in Schöneweide nach Spindlersfeld ab, wird der Abschnitt nach Spindlersfeld geblockt, kein weiterer Zug kann (wie es einst mal möglich war) nach Spindlersfeld nachfahren. Kommt der Zug wieder von Spindlersfeld zurück, wird der Blockabschnitt entblockt, der nächste Zug kann einfahren. Technisch gesehen heißt das, daß der in Schöneweide abgehende Vorblock am Endfeld des Schöneweider Einfahrsignals wieder ankommt. Oder einfacher gesagt: Der Stichstreckenblock sorgt dafür, daß nur ein einziger Zug auf der Strecke von Schöneweide nach Spindlersfeld unterwegs sein kann.
Dieser Stichstreckenblock ist nicht der erste bei der Berliner S-Bahn. Es gab (und gibt) schon mehrere Strecken, die mit dieser Sicherungsbauart ausgerüstet waren bzw. sind (Aufzählung ohne Anspruch auf Vollzähligkeit):
Sicherte bis dato der Fahrdienstleiter Spindlersfeld den Bahnübergang (BÜ) Bruno-Bürgel-Weg, erfolgt diese Sicherung jetzt durch eine zugbediente Anlage. Entsprechend dem auf der gleichen Strecke vorhandenen BÜ Oberspreestraße wird dem Triebfahrzeugführer nun mit Bü-Überwachungssignalen der Sicherungszustand des Bahnüberganges angezeigt.
Um die Schließzeiten der Schranken zu gewährleisten, beträgt die nun einzuhaltende Streckenhöchstgeschwindigkeit bei der Ausfahrt aus dem nunmehrigen Haltepunkt Spindlersfeld bis kurz vor dem BÜ Bruno-Bürgel-Weg 50 km/h (vorher 60 km/h). In der Gegenrichtung, also bei Einfahrten in den neuen Haltepunkt, signalisiert jetzt ein Signal Lf 7 (40 km/h) die Einfahrgeschwindigkeit. Vor dem Umbau erfolgte dies durch das Zwischensignal E (Signalbegriff Hl 12a). Der immer noch im Stadtentwicklungsplan für 2015 (Planungstand: Juni 2003) vorgesehene teilweise zweigleisige Ausbau auf dieser Strecke dürfte damit vorerst hinfällig sein.
Zur Zweigbahn Schöneweide - Spindlersfeld gehören die folgenden Bahnhöfe:
| Schöneweide | Oberspree | Spindlersfeld |
Autor:
Mike Straschewski
Quellen:
[1] Gleis Vorortbahn Niederschöneweide - Johannisthal - Adlershof-Alt-Glienicke und Gleis Fernbahn Adlershof-Alt-Glienicke - Niederschöneweide - Johannisthal
[2] Die Geschichte Köpenicks - Schreibweise bis 31. Dezember 1930
[3] S-Bahn-Unfall nahe Bahnhof Schöneweide 1945; Dr. Michael Braun; Berliner Verkehrsblätter 3/2006
weitere Quellen, Buchtipps und Links:
Berlins S-Bahnhöfe; Jürgen Meyer-Kronthaler/Wolfgang Kramer, be.bra Verlag, 1998
S-Bahn Berlin - Geschichte(n) für unterwegs; Bernhard Strowitzki; Verlag GVE; 2002
Abschied vom Mini-Otto; Hans-Joachim Hütter; Verkehrsgeschichtliche Blätter, Heft 6/1986
Webseite: Spindlers Fabrik in Berlin (Seite nicht mehr vorhanden)
letzte Änderung:
19. März 2012
Veröffentlichung:
26. Oktober 2008